Fremvisning
Book en fremvisning

Engholmvej 93100 Hornbæk

Erhvervsgrund

Brugerejendom
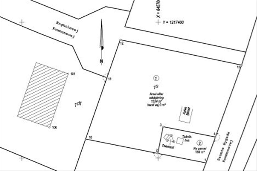
1.534 m²
1.700.000 kr.

Adresse
Engholmvej 9
Sagsnr.
342346365
Ejendomstype
Erhvervsgrund
Handelstype
Brugerejendom
Pris
1.700.000 kr.

Arealer

Grundareal
1.534 m²

Nøgletal

Pris
1.700.000 kr.
Pris/m²
1.108 kr.
Ejendomsskatter
150 kr.
Grundskyld
15.546 kr.
Årlige driftsudgifter
15.696 kr.
Vurderingsår
2020

Ejendommen

Omfattet af energimærke
Nej

Erhvervsgrund i Hornbæk, tilslutning til kloak og el er afholdt

Den sidste erhvervsgrund i Saunte Erhvervsområde i Hornbæk kan nu købes.

Med en beliggenhed i et område med begrænset udbud, er det en enestående mulighed for investorer og er­hvervs­dri­ven­de, at få fingre i den sidste ubebyggede grund.

Grunden udgør 1.534 m² og byder på en be­byg­gel­ses­pro­cent på 40%, hvilket giver mulighed for opførelse af er­hvervs­byg­ning på op til 613 m².

Den på grunden værende bygning er aldrig lovliggjort og skal fjernes.

Udgifter for tilslutning til kloak og el er allerede betalt.

Er­hvervs­om­rå­det i Saunte ved Hornbæk er et mindre, lokalt erhvervsområde, primært præget af små og mellemstore virksomheder. Området huser flere lokale en­tre­pre­nør­virk­som­he­der inden for bygge- og anlægsbranchen som tømrere, murere, el og VVS. Herudover også autoværksteder, serviceerhverv og web-virksomhed. Det lokale fitnesscenter ligger som nabo til grunden.

Den på grunden registrerede V2-forurening for udlagt knust asfalt som stabilt underlag udlagt på en mindre del af grundstykket, fjernes af sælger.

Lokalbanen Helsingør-Hornbæk-Gilleleje-Hillerød har trinbræt i Saunte, der ligger 150 m derfra.

Der er sjældent ejendomme til salg i område og vil være af interesse for både investorer og brugere fra lokalområdet.

Vil du vide mere om ejendommen?

Har du spørgsmål om ejendommen eller ønsker du at komme forbi til en uforpligtende snak? Så kontakt os her

Besøg butikken